嘘~ 正在从服务器偷取页面 . . .

Speech


⚠️ 以下所有内容总结都来自于 大语言模型的能力,如有错误,仅供参考,谨慎使用
🔴 请注意:千万不要用于严肃的学术场景,只能用于论文阅读前的初筛!
💗 如果您觉得我们的项目对您有帮助 ChatPaperFree ,还请您给我们一些鼓励!⭐️ HuggingFace免费体验

2025-11-11 更新

Enhancing Public Speaking Skills in Engineering Students Through AI

Authors:Amol Harsh, Brainerd Prince, Siddharth Siddharth, Deepan Raj Prabakar Muthirayan, Kabir S Bhalla, Esraaj Sarkar Gupta, Siddharth Sahu

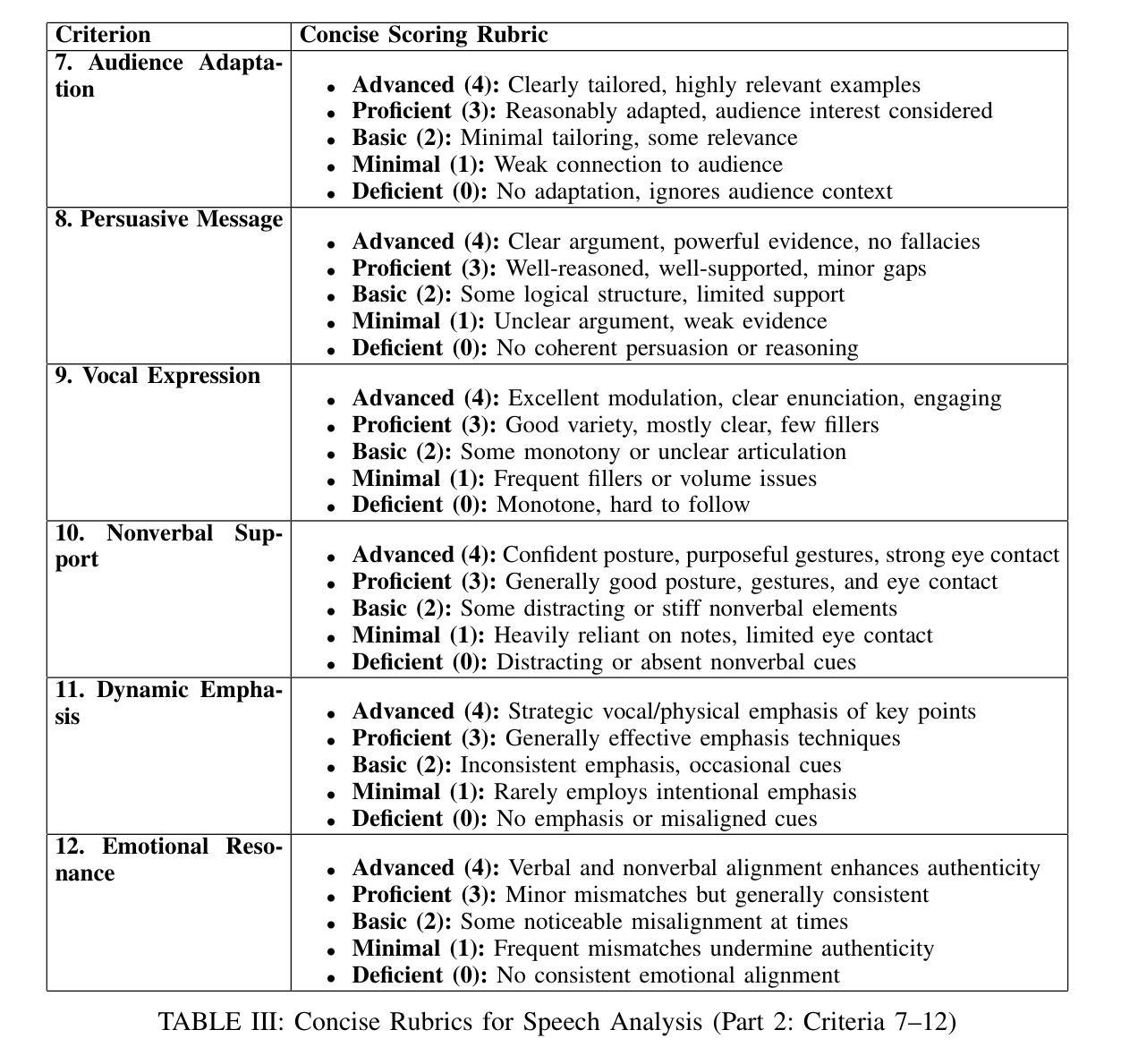
This research-to-practice full paper was inspired by the persistent challenge in effective communication among engineering students. Public speaking is a necessary skill for future engineers as they have to communicate technical knowledge with diverse stakeholders. While universities offer courses or workshops, they are unable to offer sustained and personalized training to students. Providing comprehensive feedback on both verbal and non-verbal aspects of public speaking is time-intensive, making consistent and individualized assessment impractical. This study integrates research on verbal and non-verbal cues in public speaking to develop an AI-driven assessment model for engineering students. Our approach combines speech analysis, computer vision, and sentiment detection into a multi-modal AI system that provides assessment and feedback. The model evaluates (1) verbal communication (pitch, loudness, pacing, intonation), (2) non-verbal communication (facial expressions, gestures, posture), and (3) expressive coherence, a novel integration ensuring alignment between speech and body language. Unlike previous systems that assess these aspects separately, our model fuses multiple modalities to deliver personalized, scalable feedback. Preliminary testing demonstrated that our AI-generated feedback was moderately aligned with expert evaluations. Among the state-of-the-art AI models evaluated, all of which were Large Language Models (LLMs), including Gemini and OpenAI models, Gemini Pro emerged as the best-performing, showing the strongest agreement with human annotators. By eliminating reliance on human evaluators, this AI-driven public speaking trainer enables repeated practice, helping students naturally align their speech with body language and emotion, crucial for impactful and professional communication.

这篇从研究到实践的全文论文受到了工程学生在有效沟通方面持续挑战的启发。公共演讲是未来工程师必备的技能,因为他们需要与各种利益相关者交流技术知识。虽然大学提供课程或研讨会,但它们无法为学生提供持续和个性化的培训。对公共演讲的言语和非言语方面提供全面的反馈非常耗时,使得一致和个性化的评估变得不切实际。本研究整合了关于公共演讲中的言语和非言语线索的研究,以开发一个面向工程学生的AI驱动评估模型。我们的方法结合了语音识别、计算机视觉和情感检测,形成一个多模态AI系统,提供评估和反馈。该模型评估(1)言语交流(音调、音量、语速、语调)、(2)非言语交流(面部表情、手势、姿势),以及(3)表达连贯性,这是一种新型集成,确保言语和肢体语言之间的对齐。与以前分别评估这些方面的系统不同,我们的模型融合多种模式以提供个性化、可扩展的反馈。初步测试表明,我们AI生成的反馈与专家评估中度对齐。在评估的先进AI模型中,包括双子座和OpenAI模型等在内的所有大型语言模型(LLM)中,双子座专业版表现出最佳性能,与人类注释者的共识最高。通过消除对人类评估者的依赖,这个AI驱动的公共演讲训练器能够反复实践,帮助学生自然地调整他们的演讲与肢体语言和情感一致,这对于有影响力和专业的沟通至关重要。

论文及项目相关链接

PDF

Summary

本文研究了工程学生在公共演讲方面的有效沟通挑战,提出了一种基于AI的评估模型。该模型结合了语音分析、计算机视觉和情感检测,对口头和非口头沟通进行全面评估,并提供个性化反馈。该模型可评估学生的语言表达、非语言表达和表现一致性。相较于先前的评估系统,本文开发的模型能更好地融合多模式信息以提供个性化、可扩展的反馈。初步测试表明,该AI模型的反馈与专家评价较为一致,其中Gemini Pro表现最佳。此AI驱动的公共演讲训练工具能消除对人类评估者的依赖,帮助学生自然协调语言、肢体动作和情感,对于提升工程学生的沟通技巧具有积极影响。

Key Takeaways

  1. 本研究受工程学生在沟通方面的挑战启发,强调了公共演讲在未来工程师职业发展中的重要性。
  2. 整合了语音分析、计算机视觉和情感检测技术,构建一个多模式的AI评估系统。
  3. 系统可全面评估学生的口头和非口头沟通技巧,包括语言表达、非语言表达以及两者之间的连贯性。
  4. 与其他先进的AI模型相比,如Gemini和OpenAI模型等,Gemini Pro在初步测试中表现最佳,与人类评估者的意见最为一致。
  5. AI驱动的公共演讲训练工具能够消除对人类评估者的依赖,为学生提供持续的实践机会。
  6. 该工具帮助学生自然地协调语言、肢体动作和情感表达,这对于提升沟通技巧至关重要。

Cool Papers

点此查看论文截图


文章作者: Kedreamix
版权声明: 本博客所有文章除特別声明外,均采用 CC BY 4.0 许可协议。转载请注明来源 Kedreamix !
 上一篇
3DGS 3DGS
3DGS 方向最新论文已更新,请持续关注 Update in 2025-11-11 4D3R Motion-Aware Neural Reconstruction and Rendering of Dynamic Scenes from Monocular Videos
2025-11-11
下一篇 
无监督/半监督/对比学习 无监督/半监督/对比学习
无监督/半监督/对比学习 方向最新论文已更新,请持续关注 Update in 2025-11-11 TRACE Contrastive learning for multi-trial time-series data in neuroscience
  目录